Objekt 10 von 10
Vorheriges Objekt
Zurück zur Übersicht

code
Zurück zur Übersicht
Vorheriges Objekt
Zurück zur ÜbersichtBerlin: Kleines Baugrundstück in zweiter Reihe mit Bauvorbescheid
Objekt-Nr.: ID5069
Schnellkontakt
Optionen
Optionen
Basisinformationen
Adresse:
DE-12559 Berlin
Stadtteil:
Müggelheim
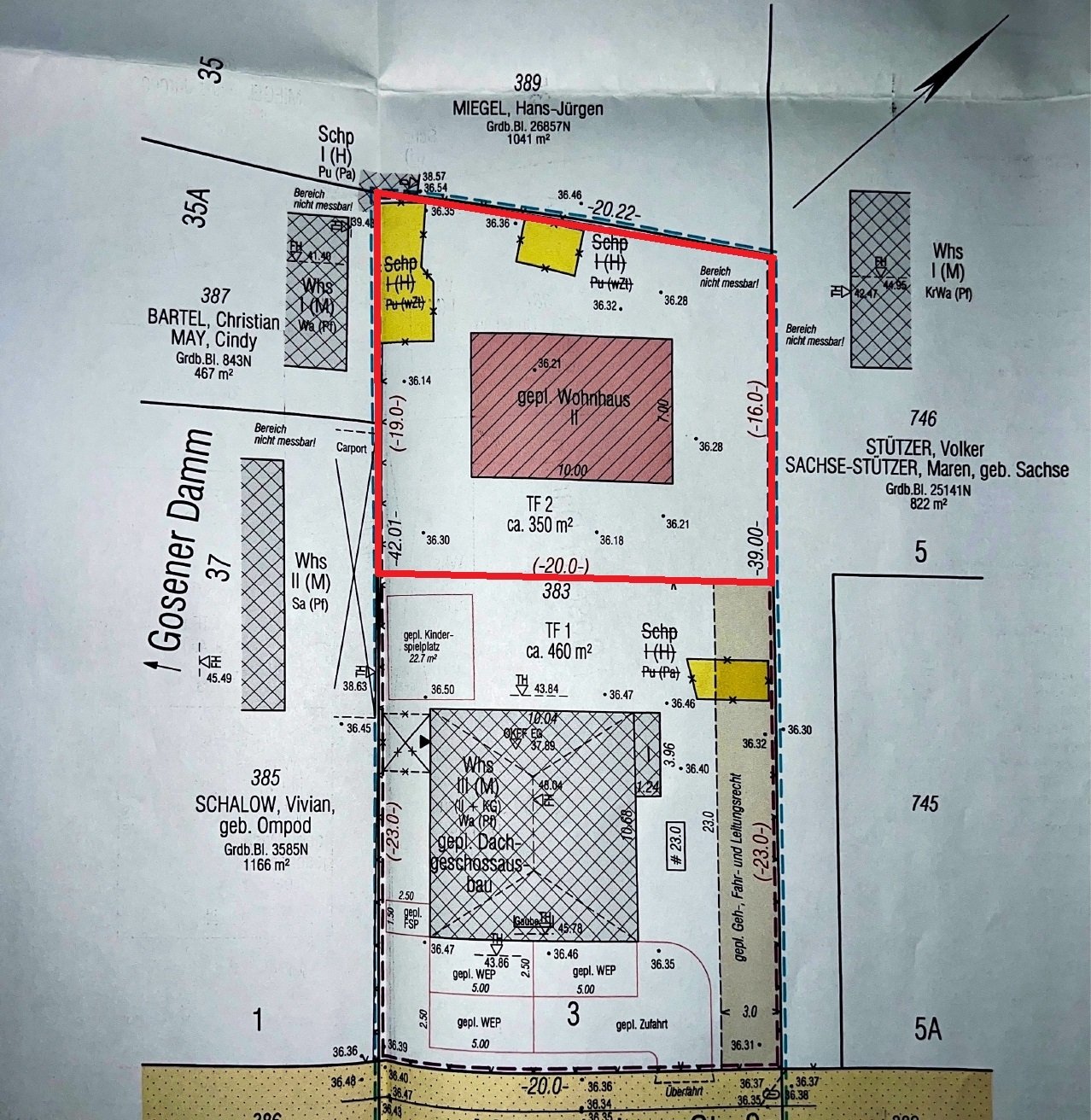
Grundstück ca.:
350 m²
Preis:
130.000 €
Kurzfristig bebaubar:
ja
Weitere Informationen
Weitere Informationen
Nutzungsart:
Wohnen
Bebaubar nach:
Bebauung nach Bebauungsplan
Empfohlene Nutzung:
Einfamilienhaus
GRZ:
0,20
GFZ:
0,40
Verfügbar ab:
sofort
Provisionspflichtig:
ja
Provision:
7,14% inkl. MwSt
Beschreibung
Beschreibung
Objektbeschreibung:
Zum Verkauf steht ein kleines Baugrundstück in zweiter Reihe.
Es liegt ein Bauvorbescheid für ein Einfamilienhaus mit folgender Planung: Rechteckiger Baukörper mit 2 Etagen (je ca. 70 m²) und Satteldach.
Es liegt ein Bauvorbescheid für ein Einfamilienhaus mit folgender Planung: Rechteckiger Baukörper mit 2 Etagen (je ca. 70 m²) und Satteldach.
Lage:
Dieses Grundstück befindet sich in ruhiger, familienfreundlicher Wohnlage im idyllischen Ortsteil Berlin-Müggelheim – eingebettet in grüne Wälder, Seenlandschaft und eine gewachsene Nachbarschaft. Die Straße ist eine gepflegte Anliegerstraße mit Tempo-30-Zone – ideal für entspanntes Wohnen in naturnaher Umgebung.
Gute Anbindung an den öffentlichen Nahverkehr: Die Buslinien 169, 369 und N69 sind fußläufig erreichbar (Haltestellen Alt-Müggelheim oder Annweiler Weg).
Anschluss an das S-Bahnnetz (S3) über Wilhelmshagen oder Köpenick.
Fährverbindungen (F23, F24) über die nahegelegenen Gewässer ermöglichen alternative Verbindungen in die umliegenden Ortsteile.
Für Autofahrer: Schnelle Erreichbarkeit der B1/B5 sowie des Flughafens BER in ca. 20–25 Minuten.
Gute Anbindung an den öffentlichen Nahverkehr: Die Buslinien 169, 369 und N69 sind fußläufig erreichbar (Haltestellen Alt-Müggelheim oder Annweiler Weg).
Anschluss an das S-Bahnnetz (S3) über Wilhelmshagen oder Köpenick.
Fährverbindungen (F23, F24) über die nahegelegenen Gewässer ermöglichen alternative Verbindungen in die umliegenden Ortsteile.
Für Autofahrer: Schnelle Erreichbarkeit der B1/B5 sowie des Flughafens BER in ca. 20–25 Minuten.
Sonstiges:
Auf dem vorderen Grundstück (1.Reihe) steht ein kleines MFH.
Provision:
Der Käufer hat eine Provision in Höhe von 7,14 % des Kaufpreises inklusive Mehrwertsteuer an uns für Nachweis/Vermittlung des Kaufobjekts zu zahlen. Die Provision ist verdient und fällig beim wirksamen Abschluss des Kaufvertrages und innerhalb von 7 Tagen zu zahlen. Die Provision wird auch für mitverkauftes Zubehör geschuldet.
Es gelten unsere Allgemeinen Geschäftsbedingungen.
Es gelten unsere Allgemeinen Geschäftsbedingungen.
Ihr Ansprechpartner

IBA Immobilien GmbH
Frau Xenia Kleimann
Maarer Str. 76
13435 Berlin
Telefon: +49 30 99545549
Mobil: +49 179 9563153
Frau Xenia Kleimann
Maarer Str. 76
13435 Berlin
Telefon: +49 30 99545549
Mobil: +49 179 9563153
Zurück zur Übersicht




